LE CHATAIGNER
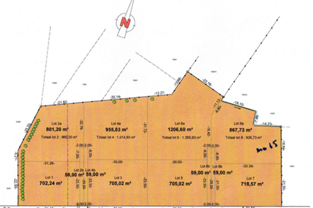
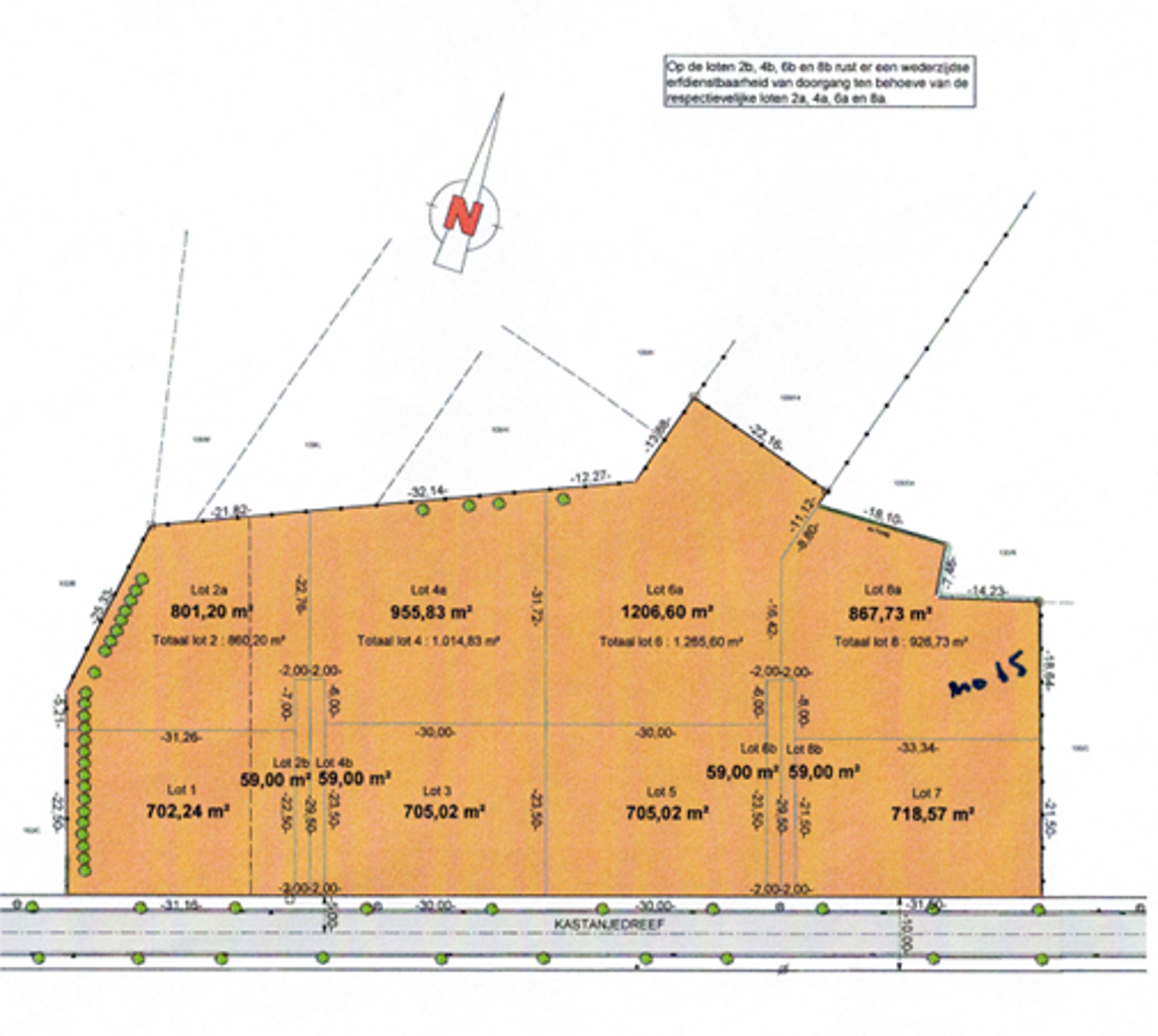
Bouwgrond voor het bouwen van een alleenstaande villa op een perfect georiënteerd terrein in een nieuwe residentiële villawijk aan de rand van Knokke, op slechts enkele minuten van de zeedijk en het centrum. Interessante locatie voor het bouwen van uw droomvilla of als investering. Bijkomende informatie gaarne na afspraak op een van onze kantoren.
TerreinOpp
867.73m2
| Bouwvergunning | Onbekend |
|---|---|
| Verkavelingsvergunning | Onbekend |
| Overstromingsgevoeligheid | Niet gelegen in een overstromingsgevoelig gebied |
| Stedenbouwkundige bestemming | Onbekend |
| Dagvaarding | Onbekend |
| Voorkooprecht | Onbekend |






